ঢাকা
২৫ এপ্রিল, ২০২৬
প্রচ্ছদ
ই-পেপার
সর্বশেষ
ফিচার
ধর্ম
জাতীয়
রাজনীতি
নগর-মহানগর
আইন-বিচার
অর্থনীতি ও বাণিজ্য
আন্তর্জাতিক
খেলার খবর
অন্যান্য
দেশের খবর
বিনোদন
লাইফস্টাইল
স্বাস্থ্য
ক্যাম্পাস
বিজ্ঞান ও প্রযুক্তি
সম্পাদকীয়
ফিচার
চাকরির খবর
প্রবাস
সংবাদ শিরোনাম
হামের উপসর্গ নিয়ে আরও ১১ জনের মৃত্যু
জামায়াত আমির কখনোই সুষ্ঠু চিন্তা করেন না: মির্জা ফখরুল
বিএনপি ফ্যাসিবাদের পথে হাঁটা শুরু করেছে: জামায়াত আমির
নিখোঁজের ১২ ঘণ্টা পর কাস্টমস কর্মকর্তা মরদেহ ফুটপাত থেকে উদ্ধার
বড়পুকুরিয়া তাপবিদ্যুৎ কেন্দ্র নিয়ে দুঃসংবাদ
যুদ্ধের ডামাডোল পেরিয়ে হজে যাচ্ছেন ৩০ হাজার ইরানি
গরমের তীব্রতা নিয়ে ২১ জেলার জন্য দুঃসংবাদ
সারা দেশে উচ্চ সতর্কতা জারি, নেপথ্যে যে কারণ
কলাবাগান এসটিএস-এর নান্দনিক রূপান্তর ও ধানমন্ডিতে ডিএসসিসির পরিচ্ছন্নতা কাজের শুভ উদ্বোধন
ভিসা নিয়ে বাংলাদেশসহ ৭৫ দেশের নাগরিকদের দুঃসংবাদ দিলো যুক্তরাষ্ট্র
জাতীয়
আগস্ট-সেপ্টেম্বরের মধ্যে ঢাকা-কক্সবাজার রেলযোগাযোগ শুরু
দেশের বিভিন্ন জায়গায় শিলাবৃষ্টির সম্ভাবনা
সরকারের সদিচ্ছা না থাকলে নিরপেক্ষ নির্বাচন করা কঠিন হবে: সিইসি
‘প্রধানমন্ত্রীর নেতৃত্বে ঘূর্ণিঝড় সফলভাবে মোকাবিলা করেছি’
‘৭৫ পরবর্তী ক্ষমতাসীনরা নিজেদের ভাগ্য পরিবর্তনে ব্যস্ত ছিলেন’
নামলো সকল প্রকার সতর্ক সংকেত
চিত্রনায়ক ফারুকের মৃত্যুতে প্রধানমন্ত্রীর শোক
বিকেলে প্রধানমন্ত্রীর সংবাদ সম্মেলন
আজ পাবনা যাচ্ছেন রাষ্ট্রপতি
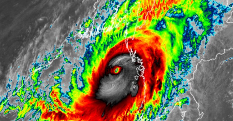
ঘূর্ণিঝড় মোখা: লন্ডভন্ড টেকনাফ ও সেন্টমার্টিন
ঘূর্ণিঝড় ‘মোখা’ ৩টার মধ্যে উপকূল অতিক্রম করবে
মোখার কারণে ঢাকাসহ বিভিন্ন জায়গায় বিদ্যুৎ সরবরাহে বিঘ্ন
ঘূর্ণিঝড় ‘মোখা’ মূল আঘাত মিয়ানমারে, ঝুঁকি কেটেছে বাংলাদেশের
ঘূর্ণিঝড় মোখা: ৩ বিভাগে অতিভারী বৃষ্টির সম্ভাবনা
ঘূর্ণিঝড়সংক্রান্ত সব তথ্যসেবা ৩৩৩ নম্বরে
‹
1
2
...
322
323
324
325
326
327
328
...
499
500
›
সম্পাদক ও প্রকাশক : মো. নজরুল ইসলাম